Komunikaty
Data opublikowania: 2024-10-29
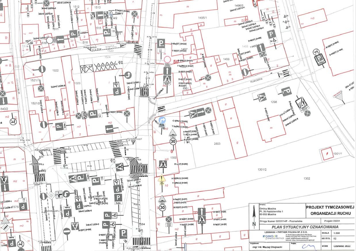
Tymczasowa organizacja ruchu
Informujemy, że w dniu 31 października 2024 r. od godz. 13:00 do 2 listopada 2024 r. będzie obowiązywać tymczasowa organizacja ruchu na ulicach prowadzących do cmentarza parafialnego w Mosinie zlokalizowanego przy ul. Spokojnej. Zakres tymczasowej organizacji ruchu będzie obowiązywał na ulicach Kościelnej, Poznańskiej i Słowackiego.
Dojazd do mosińskiego cmentarza będzie możliwy poprzez:
- wjazd od strony pl. 20 Października w ul. Kościelną i dalej wzdłuż Kościoła
pw. Św. Mikołaja do ul. Spokojnej (dostępne parkingi przy Kościele oraz przy cmentarzu parafialnym przy ul. Spokojnej), - wjazd od strony pl. 20 Października w ul. Kościelną i dalej ul. Kościuszki do
ul. Spokojnej (dostępne parkingi przy Kościele oraz przy cmentarzu parafialnym przy ul. Spokojnej),
Wyjazd z mosińskiego cmentarza będzie możliwy ul. Spokojną do ul. Kościuszki, a następnie w kierunku na:
- ŚREM – skręt w lewo na ul. Poznańską a następnie w prawo w ul. Słowackiego,
- POZNAŃ – skręt w prawo w ul. Poznańską dalej dojazd do Szosy Poznańskiej (droga wojewódzka) lub do ul. Rzeczpospolitej Mosińskiej.
Fragment ul. Poznańskiej od skrzyżowania z ul. Kościelną do ul. Słowackiego będzie zamknięty dla ruchu drogowego. W związku z powyższym prosimy kierowców o zwracanie uwagi na znaki drogowe oraz dostosowanie się do poleceń kierujących ruchem.








